⚠️ This forum has been restored as a read-only archive so the knowledge shared by the community over many years remains available. New registrations and posting are disabled.

All times are UTC + 8 hours




Post new topic Reply to topic  [ 133 posts ]  Go to page Previous  1 ... 5, 6, 7, 8, 9
Author Message
PostPosted: Aug 31st, '08, 19:22 
Don't know how close these people are to you... or if they'll supply... :dontknow:

Rainbow Trout & Yabby Farm
Bubbs Lane
ELPHINSTONE VIC 3448
Ph: (03) 54733481


Rich River Yabby & Bait Farm
Cornelia Creek Road
ECHUCA VIC 3564
Ph: (03) 54826243


Top
  
Reply with quote  
    Advertisement
 
PostPosted: Sep 1st, '08, 17:07 
Bordering on Legend
Bordering on Legend
User avatar

Joined: May 27th, '07, 14:42
Posts: 253
Location: Far East Gippy, VIC Australia
Gender: Female
Location: Far East Gippy, VIC Australia
No go... 1st number was a wrong number, the second was the local chemist but they gave me the 'right' number... turned out to be the new owners of the house (they bought it 8 years ago) but they don't farm yabbies anymore. :(


Top
 Profile  
Reply with quote  
PostPosted: Sep 1st, '08, 18:10 
That's a bummer Imy.... details came out of an old list I compiled a couple of years ago...

Should go through and update it .... when I get the time.... :roll:


Top
  
Reply with quote  
PostPosted: Sep 1st, '08, 18:57 
Bordering on Legend
Bordering on Legend
User avatar

Joined: May 27th, '07, 14:42
Posts: 253
Location: Far East Gippy, VIC Australia
Gender: Female
Location: Far East Gippy, VIC Australia
No worries... thanks for thinking of me! :)

I've just emailed the place in NSW... 4 days postage is a long time but I guess I'll risk it... and at least the weather is still cool and they will be all drowsy for their long journey :(


Top
 Profile  
Reply with quote  
PostPosted: Sep 1st, '08, 19:14 
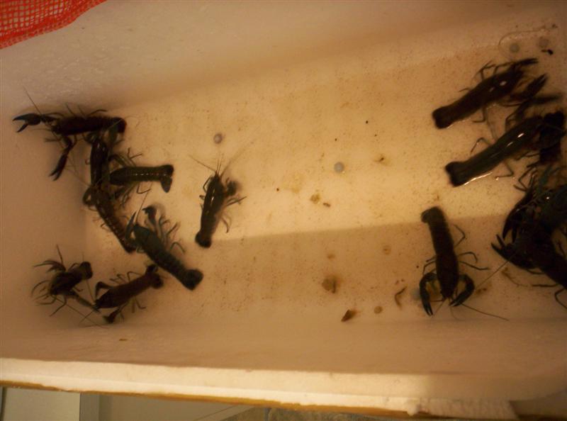
Yabbies transport really well Imy.... as long as they remain damp.. retain a moist layer on their gills...

They'll survive from the oxygen in the water layer coating their gills for some time... they're capable of surviving quite long periods out of water...

As seen by those who've found them wondering around the backyard... :D

Normally they're packed in damp straw for delivery... including live delivery to Sydney => restaurants.... usually anesthetised...

I brought some back from Tea Gardens/Pindimar (Nelsons Bay) to Gerringong... about 5 hours..

Just in polystyrene boxs with a thin layer of water and an oyster bag covering them...
Attachment:
106_3700 (Medium).JPG
106_3700 (Medium).JPG [ 45.58 KiB | Viewed 1754 times ]

Attachment:
106_3706 (Medium).JPG
106_3706 (Medium).JPG [ 49.99 KiB | Viewed 1755 times ]


Neil from Aquablue should be able to freight them to you in Vic in 2-3 days... see the blurb..

http://www.aquablueseafoods.com.au/price-list.shtml


Top
  
Reply with quote  
PostPosted: Sep 1st, '08, 19:21 
Almost divorced
Almost divorced

Joined: Dec 9th, '06, 20:31
Posts: 1079
Location: Drongen, Belgium
Gender: Male
Location: Drongen, Belgium
if these people are experienced there should be no worry, Imy
crays can withstand this without problem if well packed
cooling and bringing -and keeping them- in a state of lethargy is the key
upon arrival, don't throw them in the water but let them slowly adapt to the new temperatures
a temperature shock might kill them

Frank


Top
 Profile  
Reply with quote  
PostPosted: Sep 2nd, '08, 04:25 
Bordering on Legend
Bordering on Legend
User avatar

Joined: May 27th, '07, 14:42
Posts: 253
Location: Far East Gippy, VIC Australia
Gender: Female
Location: Far East Gippy, VIC Australia
Great!
I've contacted Neil again re getting them from him. He initially said 20 would be a good number but I'm thinking I might need a few more if they are coming so far and may almost certainally be casualties. :blackeye:


Top
 Profile  
Reply with quote  
PostPosted: Sep 2nd, '08, 11:06 
Bordering on Legend
Bordering on Legend
User avatar

Joined: May 27th, '07, 14:42
Posts: 253
Location: Far East Gippy, VIC Australia
Gender: Female
Location: Far East Gippy, VIC Australia
Just ordered 40 yabbies... they should be here by next friday (in a week)

Now I'm all nervous about them arriving safely :shock:


Top
 Profile  
Reply with quote  
PostPosted: Sep 4th, '08, 18:57 
Bordering on Legend
Bordering on Legend
User avatar

Joined: May 27th, '07, 14:42
Posts: 253
Location: Far East Gippy, VIC Australia
Gender: Female
Location: Far East Gippy, VIC Australia
Just bought a fowlers vacola preserving unit on eBay... my other-half thinks I might be jumping the gun a bit I think but he just smiles and nods at me.

Now to get some jars...




...oh, and grow some tomatoes... but thats just a formality :lol:


Top
 Profile  
Reply with quote  
PostPosted: Sep 4th, '08, 19:04 
Seriously, this cant be healthy.
Seriously, this cant be healthy.
User avatar

Joined: Aug 24th, '06, 19:46
Posts: 6604
Location: sunbury
Gender: Male
Are you human?: no
Location: sunbury
RupertofOZ wrote:
Don't know how close these people are to you... or if they'll supply... :dontknow:

Rainbow Trout & Yabby Farm
Bubbs Lane
ELPHINSTONE VIC 3448
Ph: (03) 54733481


Rich River Yabby & Bait Farm
Cornelia Creek Road
ECHUCA VIC 3564
Ph: (03) 54826243
First one has been closed for three years


Top
 Profile  
Reply with quote  
PostPosted: Sep 6th, '08, 09:29 
Bordering on Legend
Bordering on Legend
User avatar

Joined: May 27th, '07, 14:42
Posts: 253
Location: Far East Gippy, VIC Australia
Gender: Female
Location: Far East Gippy, VIC Australia
Thought it was about time I made a thread for my little system... updated pics in there:
http://www.backyardaquaponics.com/forum/viewtopic.php?f=18&t=4085


Top
 Profile  
Reply with quote  
PostPosted: Mar 12th, '09, 22:20 
Bordering on Legend
Bordering on Legend
User avatar

Joined: Apr 26th, '08, 23:11
Posts: 466
Location: Narrogin, Western Australia
Gender: Male
Location: Narroigin, Western Australia
This is my flood and drain ,it works well.


Attachments:
flood and drain2 (Medium).jpg
flood and drain2 (Medium).jpg [ 51.49 KiB | Viewed 1549 times ]
Top
 Profile  
Reply with quote  
PostPosted: Mar 12th, '09, 22:23 
Bordering on Legend
Bordering on Legend
User avatar

Joined: Apr 26th, '08, 23:11
Posts: 466
Location: Narrogin, Western Australia
Gender: Male
Location: Narroigin, Western Australia
This is the grow bed a few months later.


Attachments:
growbed2.JPG
growbed2.JPG [ 109.49 KiB | Viewed 1550 times ]
Top
 Profile  
Reply with quote  
Display posts from previous:  Sort by  
Post new topic Reply to topic  [ 133 posts ]  Go to page Previous  1 ... 5, 6, 7, 8, 9

All times are UTC + 8 hours


You cannot post new topics in this forum
You cannot reply to topics in this forum
You cannot edit your posts in this forum
You cannot delete your posts in this forum
You cannot post attachments in this forum

Search for:
Jump to:  
cron

Powered by phpBB® Forum Software © phpBB Group
Portal by phpBB3 Portal © phpBB Türkiye
[ Time : 0.104s | 15 Queries | GZIP : Off ]